2025年10月11日その他・お知らせ
本日の酒田港

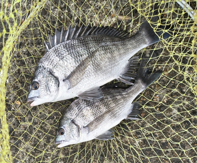
お見事!! 黒鯛の釣果。
これからの季節は更なるサイズアップが期待できるのではないでしょうか。
良型黒鯛狙いもオススメです。

10月11日。
本日の酒田港の様子を見てきました。
お昼前の気温は18℃。
沿岸は風が強めに吹いていて肌寒かったです。
これから釣行されるお客様は着こんだりと服装に注意して釣りを楽しみましょう。
雨の心配もありますので、レインスーツ、フィッシングブーツ(長靴)の格好をおすすめします。
キスが順調に釣れていました!!

あっちでも

こっちでも

そっちでも!!
落ちギスシーズンも始まっていますね。
みなさんちょい投げスタイルで👍
エサは青イソメでOKです。
この間まで、あんなに良く釣れていたヒイラギがまったく姿を見せませんでした。不思議ですね…

キスにまじってチャリコの釣果も。
真鯛の幼魚だけあって、キスに負けない引き込みです。
おっきいサバ!!


上手なお客様がカゴ釣りで3匹ゲットしました。
手応え抜群の引き込みが羨ましい!
今日は確認できませんでしたが、アオコ(ワカシ)が狙い目です。
20g前後のメタルジグを使用したライトショアジギングもオススメ。
エギングロッドでOKです。

白鳥の飛来がはじまりました。
日増しに寒くなってきましたが、この時期は越冬前の荒食いチャンス。
サビキ釣りやルアーでのアジの爆釣に期待したいですね…
好釣果を目指して連休中もアウトドアを楽しみましょう♪



